
今天是1月5日
农历十一月二十四
亲爱的用户和粉丝们,早上好!
广州今天多云间晴,11~23℃

【好消息!明年全市所有街(镇)都将有公建民营普惠托育机构】1月4日,16届58次市政府常务会议审议通过《广州市3岁以下婴幼儿照护服务体系建设三年行动计划(2023—2025年)。各区、街(镇)根据本辖区0至3岁常住婴幼儿人口数量新增配置普惠托位,稳步推进“一街(镇)一普惠”婴幼儿照护服务圈,到2025年,全市所有街(镇)至少应建有1个公建民营普惠托育机构。详情>>>

【抢先看!广州首条地铁环线首列车亮相,八节车厢“肚量”大】广州地铁4日宣布,地铁十一号线(市区环线)首列车已顺利抵达赤沙车辆段,正式“亮相”。截至2023年底,十一号线全线土建工程累计完成96%,如无意外将于今年完工。该线车辆项目共采购8节编组A型车55列,均为时速80公里A型中国标准地铁列车,载客量可达3460人。详情>>>

【对标发达国家先进城市雨水管理水平,广州将建立体高标准排水防涝体系】1月4日,16届58次市政府常务会议审议通过《广州市排水(雨水)防涝综合规划(2022—2035年)》。到2035年,建立“绿、灰、蓝、管”立体高标准排水防涝体系,力争达到发达国家先进城市的雨水管理水平。未来广州城市内涝防治设计,将能有效应对不低于100年一遇的暴雨。详情>>>
【1月16日7时10分17秒,广州将迎来全年最迟日出】1月16日,广州将迎来全年“最迟日出”,日出时间为7时10分17秒,比去年冬至日(2023年12月22日)日出时间推迟了6分钟31秒。详情>>>
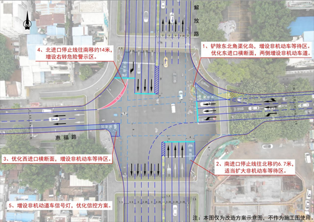
【广州解放中路-惠福西路口将实施交通优化调整】为进一步优化越秀区解放中路-惠福西路口交通组织,规范非机动车通行秩序,提高通行效率,消除安全隐患,广州交警会同市交通运输局将于近期在该路口逐步开展改造增设非机动车过街通道、等待区及专用信号灯等优化调整措施。详情>>>


【今年春节能放烟花吗?广东多地消息汇总】2024年春节将至,近日,广东多地发布烟花爆竹燃放要求,看看你家能不能放烟花?详情>>>

【广东新增15个林长绿美园】日前,2023年广东省林长绿美园名单公布,广州市增城区荔韵公园等15个单位榜上有名,全省林长绿美园数量增加至26处。记者从广东省林长办、广东省林业局获悉,本次公布的省级林长绿美园涉及广州、深圳、肇庆、茂名、韶关等15个地市,实现珠三角粤东西北全覆盖。详情>>>

【2024年春运期间琼州海峡预计将运送旅客超420万人次】据交通运输部珠江航务管理局新近发布的消息,据初步预测,2024年春运期间,琼州海峡客滚运输航线旅客运输量约421万人次,相比2023年增加6.0%;进出岛车辆约108万台次,相比2023年增加7.1%。详情>>>


【教育部:设置5个新医科人才培养引导性专业】教育部办公厅发布关于印发《服务健康事业和健康产业人才培养引导性专业指南》的通知。指南提出,对接国家重大需求,服务健康事业和健康产业发展新态势,设置5个新医科人才培养引导性专业。①医疗器械与装备工程;②老年医学与健康;③健康与医疗保障;④药物经济与管理;⑤生物医药数据科学。详情>>>
【国家医保局:2023年约谈药品平均降价超40%】据国家医保局4日消息,2023年初以来,针对少数企业部分药品垄断控销、虚增成本等问题,国家医保局2023年全年累计约谈企业23家,涉及30个品种,约谈药品平均降价超40%。详情>>>
【多家航司宣布1月5日起调低燃油附加费,旅客可省10元或20元】1月4日消息,国航、东航、川航、祥鹏航等航空公司自1月5日起将调整国内航线旅客运输燃油附加征收标准。与调整前征收标准相比,国内航线燃油附加征收标准下降10元或20元。详情>>>
【尔滨!凭啥这么火?】最近这几天哈尔滨彻底火出了圈,得到了“尔滨”的亲昵称呼。“尔滨”火出圈的背后,是一个个哈尔滨人的全力以赴,去过哈尔滨的网友们纷纷表示“尔滨”的待客之道,热情到让人招架不住,实在太疯狂。详情>>>

【圆通、韵达等物流企业因违规寄递烟花爆竹被约谈】近日,国家邮政局市场监管司与应急管理部、公安部相关司局对涉嫌违规寄递烟花爆竹的圆通速递、韵达速递、京东物流三家快递企业进行联合约谈。近期一些企业和人员利用上述三家企业,通过“互联网+寄递”方式违规寄递烟花爆竹,对寄递渠道和社会公共安全构成严重威胁。详情>>>
【2023年全球发生6级以上地震129次】2023年至今,全球多地突发地震。中国地震台网发布的统计显示,2023年,全球共发生6级以上地震129次,呈现7级以上大震活动由弱转强特点。详情>>>
【伊朗克尔曼爆炸事件有何玄机?】伊朗东南部历史名城克尔曼市3日发生两起爆炸事件,造成近百人死亡、逾200人受伤。当下,中东地区由于2023年10月7日爆发的新一轮巴以冲突正陷入严重紧张状态,再加上据称与以色列相关的商船遭袭以及叙利亚、伊拉克境内多次发生的袭击事件,使人不免担心巴以冲突进一步外溢的可能。详情>>>

海报摄影:杨耀烨
海报设计:马俊贤
AI视频:张美伦
广州日报·新花城编辑:马俊贤