
今天是9月22日,星期一,农历八月初一,
广州多云,局部有雷阵雨,24~34℃.

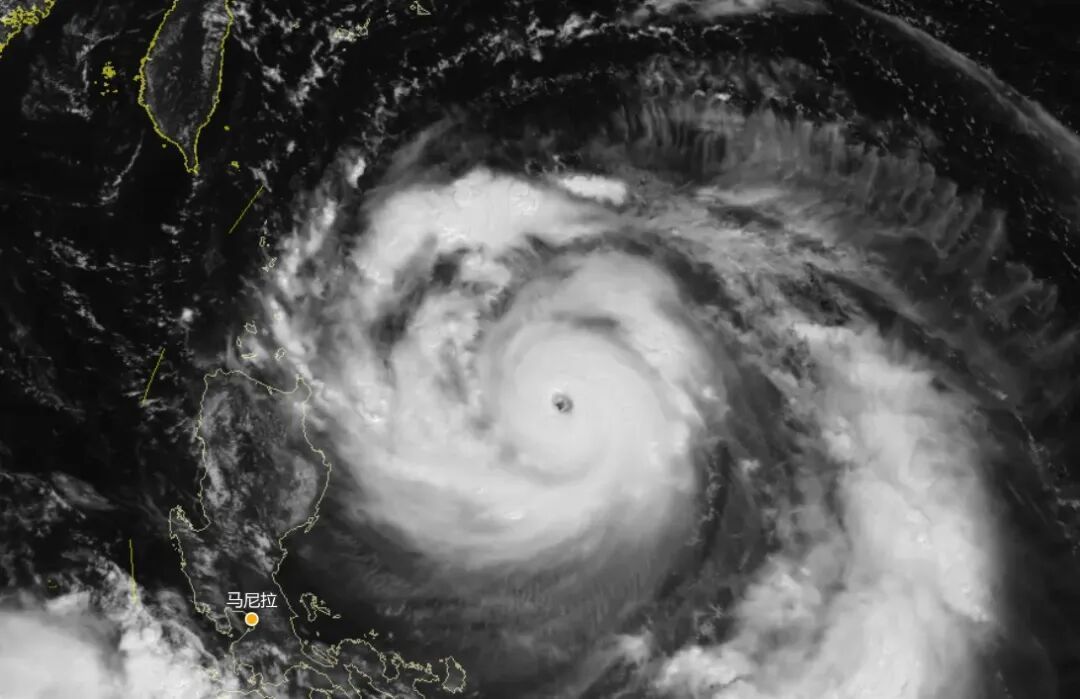
【“桦加沙”已“强到爆表”,广州会不会停课?气象部门解答】根据中央气象台9月21日20时12分发布的台风快讯,今年第18号台风“桦加沙”,中心附近最大风力达到62米/秒,已经达到17级以上。9月23日—25日将会严重影响广东,气象部门表示,预计22日夜间起广州各区会陆续升挂台风黄色预警信号,23日白天中南部各区陆续升挂台风橙色预警信号。根据相关指引,当所在区域发布台风黄色及以上级别预警信号时,应当停课。详情>>>一起关注“桦加沙”,慢直播>>>


【赢pocket3!“全民运动拍拍乐”开拍,一起来为大湾区加fun】即日起至2025年11月1日24:00,在广州日报新花城app“Fun享+”页面参与#我为大湾区加FUN#话题讨论(←点击直接进入话题),分享因为全运会带来的美好变化,即有机会获得pocket3、比赛门票、吉祥物礼品、广州特色礼品等超值好礼!详情>>>【全民运动拍拍乐作品展播①|今天,你运动了吗?】详情>>>


【最高1000万元项目补助+最长30天免费住宿!广州五大政策吸引青年人才】“百万英才汇南粤”2025年N城联动秋季招聘活动启动在即,广州梳理五大利好政策吸引年轻人到广州就业。涵盖最长30天免费住宿;入选广州市创新创业团队项目最高可获1000万元项目补助等。详情>>>
【今日开赛!全球顶尖团队汇聚琶洲,竞逐AI算法之巅】第四届琶洲算法大赛22日-23日在广州琶洲举行,吸引全球30多个国家超8000支队伍同台竞技,规模创历届之最。赛事设置五大赛道、19道赛题,聚焦AI大模型、智慧交通、智能制造等前沿领域,其中大模型算法优选赛占比近六成,成为最大亮点。详情>>>

【白云区发布可开设托班幼儿园白名单】日前,白云区教育局公布了2025年白云区幼儿园开设托班名单,今年共计183所幼儿园开设托班244个,提供托位数4880个,数量相比去年翻番。详情>>>
【南越王博物院:部分区域将暂停对外开放】南越王博物院将对王墓原址展区进行预防性保护施工,自10月9日起暂停对外开放,其他展区正常开放。详情>>>

【广东一周新增报告2426例基孔肯雅热本地个案】广东省疾控局通告:上周全省新增报告2426例基孔肯雅热本地个案,其中江门2238例,未报告重症和死亡个案。详情>>>
【惠州在全省率先实现异地公积金贷款线上提取】惠州今年8月底正式上线异地偿还住房公积金贷款提取服务,成为广东省首个上线该服务的城市。详情>>>

【我国加快推进预制菜国家标准制定】国务院食安办已组织工业和信息化部、商务部、国家卫生健康委、市场监管总局等部门积极推进预制菜国家标准制定和餐饮环节使用明示。详情>>>
【我国铁路已开展托运私家车业务】目前,12306已可办私家车和商品车均可办理汽车托运业务。详情>>>
【香港科技大学发布2026年高考招生计划】2026年度,港科大计划通过高考招收约300名学生,实行独立招生,不参加统招,也不占用统招志愿。网上申请系统将于2025年10月3日正式开放。详情>>>
【日喀则通报关于蔡国强烟花秀情况】“云端珠峰”通报:就蔡国强《蔡国强:升龙》烟花秀,日喀则市委、市政府高度重视,已成立调查组第一时间赶赴现场核查,后续将根据核查结果依法依规处理。详情>>> 始祖鸟、蔡国强发文致歉>>>

【北京警方通报于某某酒后意外坠楼身亡事件】昨晚,北京朝阳公安分局通报了于某某酒后意外坠楼身亡,多名网上造谣人员被采取强制措施。详情>>>
【英加澳承认巴勒斯坦国,以总理威胁:等着瞧】当地时间21日,英国、加拿大和澳大利亚分别发表声明,宣布承认巴勒斯坦国。以色列总理内塔尼亚胡发表视频声明予以威胁“绝不会有巴勒斯坦国”。详情>>>
【美国欲重占阿富汗最大空军基地 特朗普威胁阿方“不给就有祸”】美国总统特朗普20日在社交媒体平台“真实社交”上向阿富汗政府发出威胁:要求对方将阿境内巴格拉姆空军基地控制权“交还”美国,否则,“祸事将至”。详情>>>
海报设计/黄潭、廖黎明
图/广州日报新花城记者:苏俊杰
广州日报新花城编辑:赵小满